Geheimnisvoller Käfer: Neue Art aus Guatemala entdeckt
Gemeinsam mit einem brasilianisch-deutschen Team hat Senckenberg-Forscher Vinicius S. Ferreira eine neue Art aus der Federleuchtkäfer-Gattung Adendrocera beschrieben. Die Gruppe dieser Insekten ist selten und nur durch sehr wenige Tiere in wissenschaftlichen Sammlungen belegt. In ihrer im Fachjournal „The Coleopterists Bulletin“ veröffentlichten Studie benannten die Forscher ihre Neuentdeckung aus der Familie der Phengodidae nach der „Carmelita“-Kooperative. Diese indigene Gemeinschaft in Guatemala setzt sich seit vielen Jahren dafür ein, die Artenvielfalt rund um den Fundort der neu entdeckten Art zu erhalten.
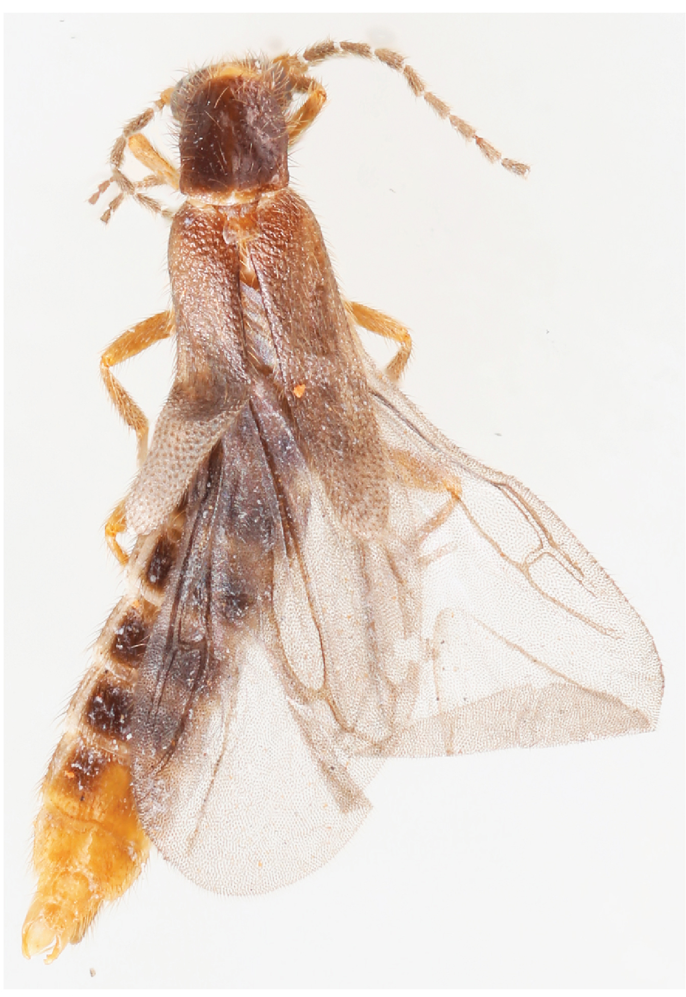
Nur eine Art mit einem einzigen Exemplar war bislang aus der Federleuchtkäfer-Gattung Adendrocera bekannt – sicher verwahrt in den wissenschaftlichen Sammlungen des Natural History Museums in London. „Außer diesem Holotyp gab es bislang keine weiteren veröffentlichten Belege aus dieser Gattung. Unser Kollege Dr. Aslak Kappel Hansen vom Museum für Naturkunde in Berlin konnte aber nun auf einer Reise nach Guatemala ein zweites Adendrocera-Exemplar sammeln. Anders als Verwandte aus der Phengodidae-Familie besitzen diese Käfer nicht die an Federn erinnernden namensgebenden Fühler. Gemeinsam mit André Roza Silva von der Universidade Federal do Rio de Janeiro haben wir die seltenen Federleuchtkäfer nun genauer unter die Lupe genommen“, erzählt Dr. Vinicius S. Ferreira vom Senckenberg Deutschen Entomologischen Institut Müncheberg.
In ihrer Studie beschreiben die Wissenschaftler das kürzlich gefundene Tier als neue Art: Adendrocera carmelita. Gesammelt wurde der mittel- bis dunkelbraune und nur 3,5 Millimeter lange Käfer im tropischen Tieflandregenwald mit Hilfe einer Flugfangfalle. „Das Untersuchungsgebiet steht unter Naturschutz und weist unter anderem einen hohen Baumartenreichtum mit großen Mahagonibäumen auf“, erklärt Ferreira und fährt fort: „Leider ist es bisher nicht gelungen, lebende Exemplare der neuen Art zu beobachten – daher gibt es aktuell auch keinerlei Daten zu ihrer Lebensweise, ihrer Ernährung oder ihrer Fortpflanzung.“
Benannt wurde die aus Guatemala stammende Art nach der „Carmelita“-Kooperative, die dazu beiträgt, die Artenvielfalt rund um den Typusort der Art im Maya-Biosphärenreservat zu erhalten. Die 1998 gegründete „Cooperativa Integral de Comercialización Carmelita R.L.“ führt verschiedene Arbeiten innerhalb der Gemeinde durch, die eine nachhaltige Bewirtschaftung der vorhandenen Ressourcen ermöglichen. Dazu gehören beispielsweise Investitionen in die Prävention und Kontrolle von Waldbränden, grüner Tourismus im Naturreservat oder eine nachhaltige Holzernte. „Mit minimalen Eingriffen schafft es die Gemeinschaft so, agroforstwirtschaftliche und touristische Aktivitäten durchzuführen, die der lokalen Gemeinde ein Auskommen sichern und gleichzeitig einen Anreiz zum Schutz des natürlichen Waldes bieten. Diese Leistung für die Erhaltung der Artenvielfalt wollten wir mit der Artbenennung würdigen“, fasst der Müncheberger Entomologe zusammen.
Wissenschaftlicher Ansprechpartner:
Dr. Vinicius S. Ferreira
Senckenberg Deutsches Entomologisches Institut Müncheberg
Tel. 069 7542 1252
vinicius.ferreira@senckenberg.de
Originalpublikation:
Roza Silva, André & Hansen, Aslak & Ferreira, Vinicius. (2024). Redescription of Adendrocera Wittmer, 1976 (Coleoptera: Phengodidae: Penicillophorinae) with Description of a Second Species of the Genus from Guatemala. The Coleopterists Bulletin. 78. 155-164. https://doi.org/10.1649/0010-065X-78.2.155
Die semantisch ähnlichsten Pressemitteilungen im idw