Bezirksregierung Düsseldorf und Fraunhofer IOSB vermessen Ruhr in Essen mit autonomer Wasserdrohne
– Hightech-Einsatz liefert erstmals vollständige und hochauflösende Daten aus Flach- und Tiefwasserbereichen
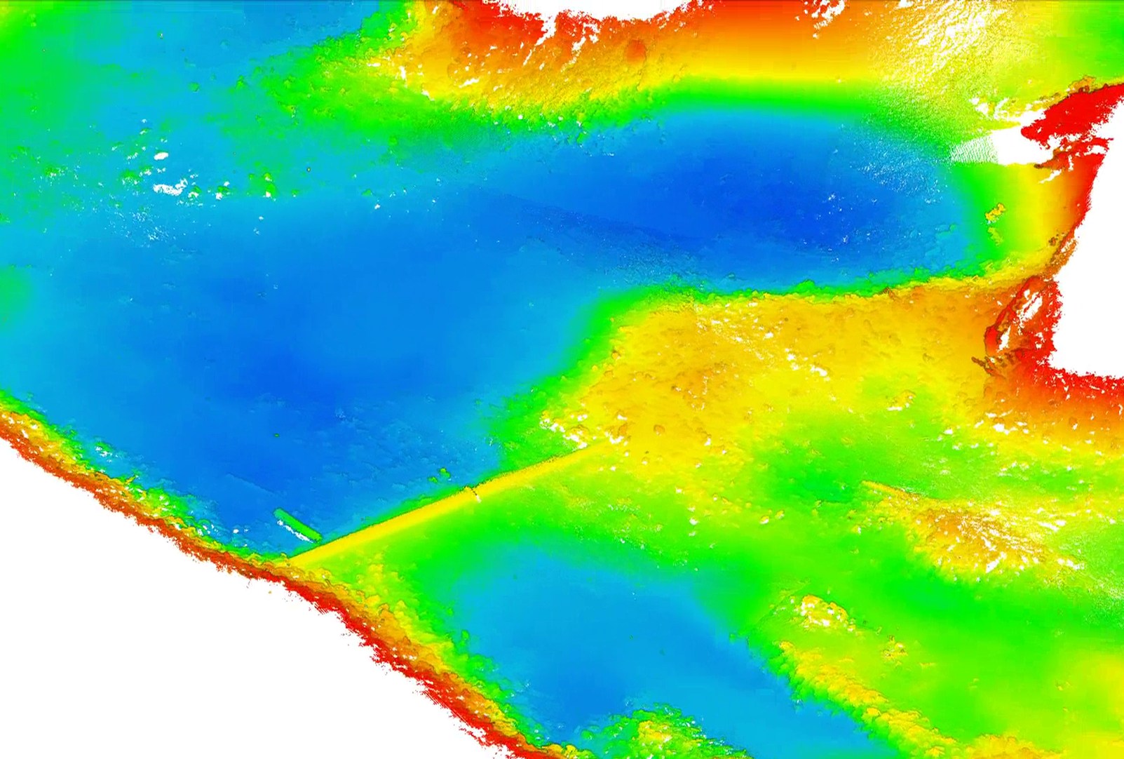
Die Bezirksregierung Düsseldorf hat gemeinsam mit dem Fraunhofer-Institut für Optronik, Systemtechnik und Bildauswertung IOSB in Karlsruhe ein zukunftsweisendes Pilotprojekt zur Vermessung der Ruhr durchgeführt. Zum ersten Mal kam dabei eine vom Fraunhofer IOSB entwickelte autonome Wasserdrohne zum Einsatz, die in einem rund sechs Kilometer langen Ruhrabschnitt bei Essen hochauflösende Daten sowohl aus tiefen als auch flachen Gewässerbereichen erfasst hat.
Die Wasserdrohne misst das Höhenrelief sowohl unter als auch über der Wasseroberfläche mit bislang unerreichter Präzision – und das nahezu vollständig automatisiert. Ausgestattet mit einer Kombination aus Sonar- und optischen Sensoren kann sie nicht nur die Gewässersohle und Uferbereiche in einem Arbeitsgang erfassen, sondern auch selbstständig Hindernissen ausweichen. So sind beispielsweise größere
Gegenstände wie auch beginnende Kolkbildungen an Bauwerken, also durch Wasserstrudel erzeugte Vertiefungen, klar erkennbar.
»Einblicke, wie sie bisher nicht möglich waren«
»Durch den Einsatz dieser Technologie konnten wir Einblicke in die Unterwasserwelt der Ruhr erhalten, wie sie bisher nicht möglich waren«, sagt Regierungspräsident Thomas Schürmann. »Zum ersten Mal konnte der gesamte Vermessungsabschnitt in seiner fast vollständigen Breite samt der Flachwasserbereiche und der flachen Nebenarme dargestellt werden. Diese Detailtiefe verbessert Entscheidungsgrundlagen erheblich – etwa bei der Gewässerunterhaltung oder bei der Berechnung von Hochwasserereignissen.«
Die Drohne ist nur zwei Meter lang, wiegt rund 80 Kilogramm und hat einen geringen Tiefgang – damit ist sie besonders geeignet für den Einsatz in flachen, naturnahen Gewässern. Ein weiterer Vorteil: Im Gegensatz zur herkömmlichen Vermessung mit großen, bemannten Schiffen oder manuellen Messlatten müssen empfindliche Flachwasserzonen nicht mehr betreten werden. Die ökologische Belastung bleibt dadurch minimal.
IOSB: Für die Entwicklung bis zur Marktreife auf Partner angewiesen
Die Erprobung in der Ruhr diente nicht nur der Erfassung aktueller Daten, sondern auch dem Vergleich mit bisherigen Messverfahren. Für die Ingenieure vom Fraunhofer IOSB war es der erste Praxiseinsatz unter Realbedingen, nachdem das System zuvor als internes Forschungsprojekt entwickelt worden war. »Mit der Idee, Gewässer mittels einer leichtgewichtigen, unbemannten Plattform möglichst vollautomatisch zu vermessen, haben wir bewusst Neuland betreten. Wir freuen uns sehr, dass sich dieser Ansatz hier auch aus Anwendersicht ausgezahlt hat«, sagt Projektleiter Dr. Janko Petereit. »Außerdem hilft uns jeder Einsatz, unsere Technologie weiter zu optimieren.«
Die Forschenden hoffen deshalb auf weitere Praxis-Pilotprojekte mit herausfordernden Anwendungsszenarien für ihre Drohne. Damit die neue Technologie ihren Nutzen in größerem Maßstab entfalten kann, werden letztlich aber auch Unternehmenspartner benötigt. Janko Petereit: »Für das eigentliche Ziel können sind wir als Forschungsinstitut auf Partner angewiesen: Nämlich die neue Technologie am Markt zu etablieren und sie im Dienste der Gewässerunterhaltung und der sicheren Schiffbarkeit breit verfügbar zu machen.«
Einen wichtigen Schritt in diese Richtung haben das Fraunhofer IOSB und die Bezirksregierung Düsseldorf indes getan: Sie haben mit ihrem Pilotprojekt neue Maßstäbe für eine moderne, umweltschonende und effiziente Gewässervermessung gesetzt – und gezeigt, wie digitale Technologien in der Wasserwirtschaft konkret zum Einsatz kommen können.
Wissenschaftlicher Ansprechpartner:
Janko Petereit | Fraunhofer IOSB | janko.petereit@iosb.fraunhofer.de | +49 721 6091-578
Presse:
Ulrich Pontes | Pressesprecher Fraunhofer IOSB | ulrich.pontes@iosb.fraunhofer.de | +49 721 6091-300
Die semantisch ähnlichsten Pressemitteilungen im idw